

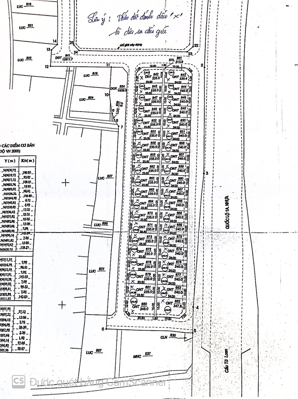
1. Vị trí dự án:
Phạm vi ranh giới của khu vực dự án được xác định như sau:
* Vị trí 01:
- Phía Bắc: giáp mương nước;
- Phía Nam: giáp tuyến đường bê tông hiện trạng;
- Phía Tây: giáp đất ruộng lúa;
- Phía Đông: giáp đường Quốc lộ 1A.
* Vị trí 02:
- Phía Bắc: giáp tuyến đường bê tông hiện trạng;
- Phía Nam: giáp mương nước;
- Phía Tây: giáp đất ruộng lúa;
- Phía Đông: giáp tuyến đường Quốc lộ 1.
* Vị trí 03:
- Phía Bắc: giáp tuyến đường bê tông hiện trang;
- Phía Nam: giáp đất công ty Hùng Cường;
- Phía Tây: giáp tuyến đường Quốc lộ 1;
- Phía Đông: giáp đất ruộng lúa.
2. Quy mô đầu tư xây dựng: Dự án được xây dựng trên khu vực có diện tích 3,72 ha theo Quy hoạch được phê duyệt, tạo ra 1,34 ha đất ở chia thành 53 lô đất và 0,95 ha đất thương mại dịch vụ. Xây dựng cơ sở hạ tầng kỹ thuật đồng bộ gồm: Hệ thống đường giao thông và cấp điện.
3. Thông tin đấu giá quyền sử dụng đất dự án:
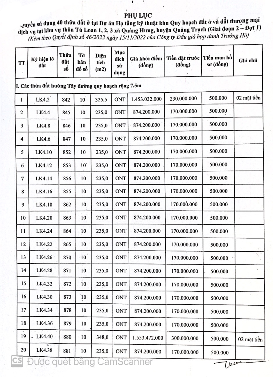
- Đợt 1, từ ngày 21/11/2022 đến ngày 05/12/2022, tổ chức đưa ra đấu giá quyền sử dụng 40 thửa đất (diện tích 9.901,7 m2; tổng giá khởi điểm 43.951 triệu đồng), có diện tích từ từ 235 m2/thửa đến 348 m2/thửa; Giá khởi điểm từ 874.200.000 đồng/thửa đến 2.049.405.000 đồng/thửa. Thông tin các lô đất đấu giá xem Phụ lục 1, Phụ lục 2.
4. Kết quả đấu giá:
Ngày 08/12/2022, công bố kết quả đấu giá, không có người tham gia đấu giá.