

Tên Dự án: Dự án HTKT khu đất ở phía sau nhà máy Súc sản cũ (giai đoạn 2), phường Phú Hải, thành phố Đồng Hới, tỉnh Quảng Bình.
1. Vị trí dự án:
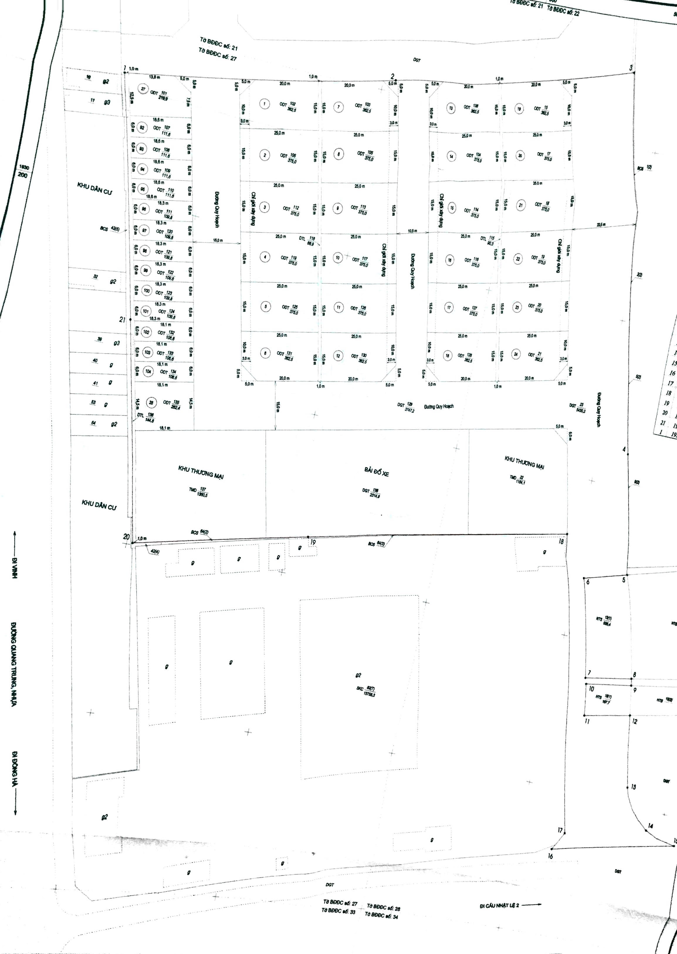
Dự án HTKT khu đất ở phía sau Nhà máy Súc Sản cũ (giai đoạn 2) thuộc tiểu khu Phú Thượng, phường Phú Hải, thành phố Đồng Hới, tỉnh Quảng Bình. Có ranh giới được xác định như sau:
- Phía Bắc giáp đường quy hoạch rộng 10,5 m.
- Phía Nam giáp đường quy hoạch rộng 36m đi cầu Nhật Lệ 2.
- Phía Đông giáp khu vực mở rộng nhà máy đóng tàu Nhật Lệ.
- Phía Tây giáp khu dân cư dọc đường Quốc lộ 1A.
2. Mục tiêu dự án: Dự án đầu tư xây dựng hệ thống hạ tầng kỹ thuật đồng bộ nhằm tạo thành khu đô thị mới hoàn chỉnh, đáp ứng nhu cầu đất ở cho người dân, tạo quỹ đất để xây dựng các công trình phù hợp với quy hoạch được duyệt; góp phần tăng nguồn thu cho ngân sách tỉnh.
3. Quy mô đầu tư xây dựng: Dự án xây dựng cơ sở hạ tầng kỹ thuật đồng bộ trên khu đất có diện tích khoảng 2,58ha, gồm: San lấp mặt bằng, hệ thống đường giao thông, cấp điện hạ thế, cấp nước sạch, thoát nước mưa.
Trong đó:
- Đất chia lô để ở với tổng diện tích 10.598m2 (bao gồm 26 lô biệt thự diện tích từ 219,9m2 đến 375m2 và 13 lô đất liền kề diện tích từ 108,6m2 đến 111,4m2).
- Đất dịch vụ có diện tích là: 1.160m2 và 1.350m2
- Đất dành bãi đổ xe có diện tích là: 2.310m2.
- Đất giao thông là: 10.382m2.
Dự án xây dựng các tuyến đường giao thông nội bộ khu dân cư rộng 10,5 m, 15m, 22,5m bảo đảm sự thông thoáng, hài hòa, gắn kết với các khu đất của dự án và các vùng lân cận.
4. Thông tin các lô đất dự án:
- Các lô đất có hướng Tây Nam có ký hiệu từ số 01 đến số 06, đường quy hoạch rộng 15m, diện tích trung bình 375m2, mức giá trung bình là 1.856 triệu đồng/lô;
- Các lô đất có hướng Tây Nam có ký hiệu từ số 13 đến số 18, đường quy hoạch rộng 10,5m, diện tích trung bình 375m2, mức giá bán trung bình 1.688 triệu đồng/lô;
- Các lô đất có hướng Đông Bắc có ký hiệu từ số 07 đến số 12, đường quy hoạch rộng 10,5m, diện tích trung bình 375m2, mức giá bán trung bình 1.688 triệu đồng/lô;
- Các lô đất có hướng Đông Bắc, có ký hiệu từ số 19 đến số 24, đường quy hoạch rộng 22,5m, diện tích trung bình 375m2, mức giá bán trung bình 2.331 triệu đồng;
- Các lô đất có hướng Đông Bắc, có ký hiệu số 27, 28 và các lô đất có ký hiệu từ số 92 đến 104, đường quy hoạch rộng 15m, diện tích trung bình 110m2, mức giá bán trung bình 600 triệu đồng/lô;
5. Thông tin tình hình đấu giá quyền sử dụng đất của dự án
- Dự án tổ chức niêm yết đưa ra đấu giá gồm 39 lô đất vào ngày 01/12/2017;
- Địa điểm tham khảo hồ sơ, làm thủ tục đăng ký tham gia đấu giá và tổ chức bán đấu giá: Trung tâm Dịch vụ bán đấu giá tài sản tỉnh Quảng Bình. Địa chỉ: số 52, đường Nguyễn Hữu Cảnh, Tp. Đồng Hới, tỉnh Quảng Bình. SĐT: 052. 3825406.
- Mọi thắc mắc xin liên hệ: Đại diện chủ đầu tư dự án: Ban quản lý dự án đầu tư và xây dựng thành phố Đồng Hới. Địa chỉ: Số 68 Ngô Quyền, Phường Đồng Phú, Thành phố Đồng Hới, Quảng Bình. SĐT: 052.3824429.
- Hiện Dự án đã bán hết lượng quỹ đất đưa ra đấu giá (Dự án bán đấu giá thành công 32 lô và giao đất 7 lô)