


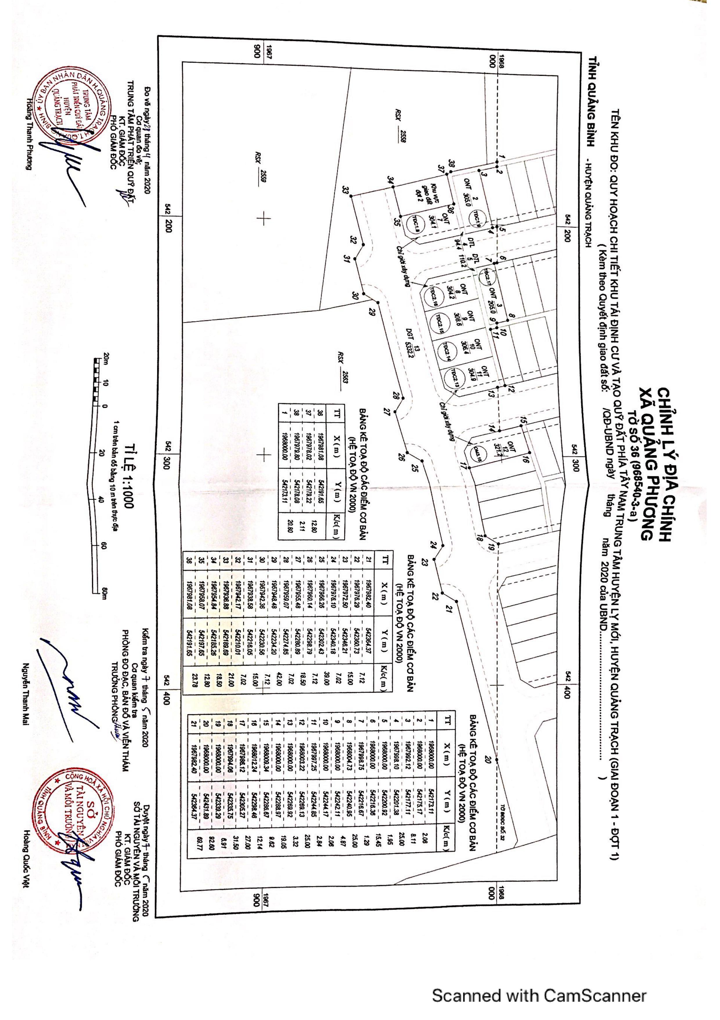
THÔNG TIN DỰ ÁN
Dự án HTKT khu tái định cư và tạo quỹ đất phía Tây Nam trung tâm huyên lỵ mới huyện Quảng Trạch (giai đoạn 1).
Thông tin tóm tắt:
1. Vị trí dự án:
Địa điểm thực hiện dự án tại trung tâm huyện lỵ, xã Quảng Phương, huyện Quảng Trạch. Phạm vi ranh giới của khu vực dự án được xác định như sau:
- Phía Bắc: giáp đường quy hoạch rộng 25m và trường Nguyễn Bỉnh Khiêm.
- Phía Nam: giáp đường quy hoạch rộng 18,5m.
- Phía Tây: giáp đường quy hoạch rộng 25m.
- Phía Đông: giáp đường quy hoạch rộng 36m.
2. Quy mô đầu tư xây dựng: Tổng diện tích quy hoạch là 4,83 ha, tạo ra 2,92 ha đất ở, trong đó có 2,05 ha đất ở để bán với tổng số 96 lô, còn lại là khoảng 0,87 ha đất tái định cư.
Các hạng mục dự án bao gồm: Giao thông, san nền, cấp điện, cấp nước, thoát nước mưa và nước thải.
3. Thông tin đấu giá quyền sử dụng đất dự án:
Tổ chức đưa ra đấu giá quyền sử dụng 96 thửa đất (diện tích 14.974,3 m2), có diện tích từ từ 178,0 m2/thửa đến 406,3 m2/thửa; Giá khởi điểm từ 432.900.000 đồng/thửa đến 1.300.200.000 đồng/thửa.
4. Thời gian, địa điểm thực hiện các thủ tục đấu giá tài sản:
- Thời gian, địa điểm tham khảo, bán hồ sơ, đăng ký tham gia đấu giá: Từ 07h30 ngày 01/12/2020 đến 16h30 ngày 23/12/2020 tại trụ sở Trung tâm Dịch vụ đấu giá tài sản tỉnh Quảng Bình, trụ sở Trung tâm Phát triển quỹ đất huyện Quảng Trạch hoặc trụ sở UBND xã Quảng Phương, huyện Quảng Trạch, tỉnh Quảng Bình.
- Thời gian, địa điểm nộp tiền đặt trước, bỏ phiếu trả giá: Từ 07h30 ngày 21/12/2020 đến 16h30 ngày 23/12/2020.
Tiền đặt trước nộp vào tài khoản của Trung tâm Dịch vụ đấu giá tài sản tỉnh Quảng Bình: Số tài khoản: 0311 00000 6886 mở tại Ngân hàng TMCP Ngoại thương Việt Nam - Chi nhánh Quảng Bình.- Tài khoản số 122 000 000 389 mở tại Ngân hàng TMCP Công thương Việt Nam - CN Quảng Bình.
Hoặc mang tiền mặt đến tại trụ sở UBND xã Quảng Phương, Trung tâm Phát triển quỹ đất huyện Quảng Trạch (Có ngân hàng trực tiếp thu).
- Địa điểm bỏ phiếu trả giá: Tại trụ sở Trung tâm Phát triển quỹ đất huyện Quảng Trạch hoặc trụ sở UBND xã Quảng Phương, huyện Quảng Trạch, tỉnh Quảng Bình.
- Thời gian, địa điểm xem tài sản: Vào ngày 17/12/2020 và ngày 18/12/2020 tại vị trí thửa đất đưa ra đấu giá. Người đăng ký tham gia đấu giá có nhu cầu liên hệ với Trung tâm Dịch vụ đấu giá tài sản để sắp xếp, bố trí thời gian đi xem tài sản, số điện thoại liên hệ: 02323.533568 (Đấu giá viên Lê Thị Hồng Nhung).
- Thời gian, địa điểm tổ chức công bố công khai kết quả trả giá: Vào lúc 08h00 ngày 26/12/2020 tại Hội trường UBND xã Quảng Phương, huyện Quảng Trạch, tỉnh Quảng Bình.
Mọi chi tiết xin liên hệ Trung tâm Dịch vụ đấu giá tài sản, Số điện thoại: 0232.3533568; Website: https://daugia.quangbinh.gov.vn.
Thông tin các lô đất đấu giá xem tại đây