

1. Vị trí dự án:
Dự án có vị trí rất thuận lợi, gần biển Ngư Thủy và trục đường tránh BOT quốc lộ 1A, có ranh giới như sau:
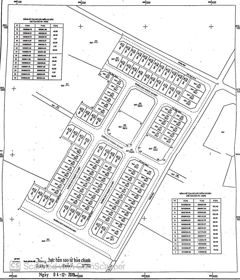
Phía Tây Nam tiếp giáp đường quy hoạch rộng 20,5m;
Phía Đông nam giáp đường giao thông liên xã;
Phía Tây Bắc tiếp giáp Khu vực dự án đất ở;
Phía Đông Bắc tiếp giáp đường Quốc phòng.
2. Quy mô đầu tư xây dựng:
Tổng diện tích quy hoạch của dự án là 4,98 ha bao gồm: 2,63 ha đất ở mới dạng chia lô nhà ở liền kề; 0,17 ha đất công cộng; 0,12 ha đất thương mại dịch vụ; 0,17 ha đất công viên cây xanh; 1,88 ha đường giao thông và đất hạ tầng kỹ thuật khác.
3. Phân khu chức năng dự án:
- Các khu đất ở mới dạng nhà ở liền kề được tổ chức theo các trục đường có mặt cắt từ 13m-32m.
- Các khu chức năng công cộng gồm Nhà văn hóa, công viên cây xanh bố trí ở phía trung tâm của khu dân cư nhằm tạo không gian xanh, thoáng mát, bán kính phục vụ hợp lý cho khu nhà ở và người dân sinh sống tại khu vực.
- Giao thông nội bộ: mạng lưới đường nội bộ với các tuyến đường có mặt cắt ngang rộng 13m-15m-20,5m để kết nối với các khu chức năng trong khu vực quy hoạch.
4. Thông tin đấu giá quyền sử dụng đất dự án:
- Đợt 1 đấu giá thành công 41/48 lô đất, thu được 28.582.000.000 đồng;
- Đợt 2 đấu giá thành công 40/40 lô đất, thu được 39.578.000.000 đồng;
- Đợt 3 đưa ra đấu giá 32 lô đất (tổng diện tích 6.998 m2) có diện tích từ 200 m2 đến 287,5 m2/lô tương đương giá khởi điểm từ từ 480.000.000 đồng/lô đến 1.100.000.000 đồng/lô.
- Kết quả đợt 3: đấu giá thành công 32/32 lô, tổng giá sau đấu 67.137 triệu đồng (chênh lệch so với giá khởi điểm 47.742 triệu đồng).
XEM THÔNG TIN 32 LÔ ĐẤT TẠI ĐÂY: Phụ lục 1 Phụ lục 2
- Bán hồ sơ và tiếp nhận hồ sơ tham gia đấu giá: Từ ngày 23/02/2022 đến 16 giờ 30 phút ngày 14/3/2022 tại Trụ sở Ban quản lý dự án Đầu tư xây dựng và Phát triển quỹ đất huyện Lệ Thủy;
- Nộp tiền đặt trước: Từ ngày 10/3/2022 đến 16 giờ 30 phút 14/3/2022
(Các thủ tục trên được thực hiện trong giờ hành chính các ngày làm việc)
- Tổ chức buổi công bố giá: Vào lúc 08 giờ 30 phút, ngày 17/3/2022 tại Hội trường Trung tâm văn hóa, Thông tin và Thể thao huyện Lệ Thủy, tỉnh Quảng Bình.
Liên hệ: Công ty Đấu giá hợp danh Trường Hà SĐT: 0232.3896333; Ban quản lý dự án Đầu tư xây dựng và Phát triển quỹ đất huyện Lệ Thủy SĐT: 0232.3961222
Mọi chi tiết xin liên hệ: Công ty Đấu giá hợp danh Trường Hà SĐT: 0232.3896 333; Ban quản lý dự án đầu tư xây dựng và phát triển quỹ đất huyện Lệ Thủy SĐT: 0232.3961 222.