

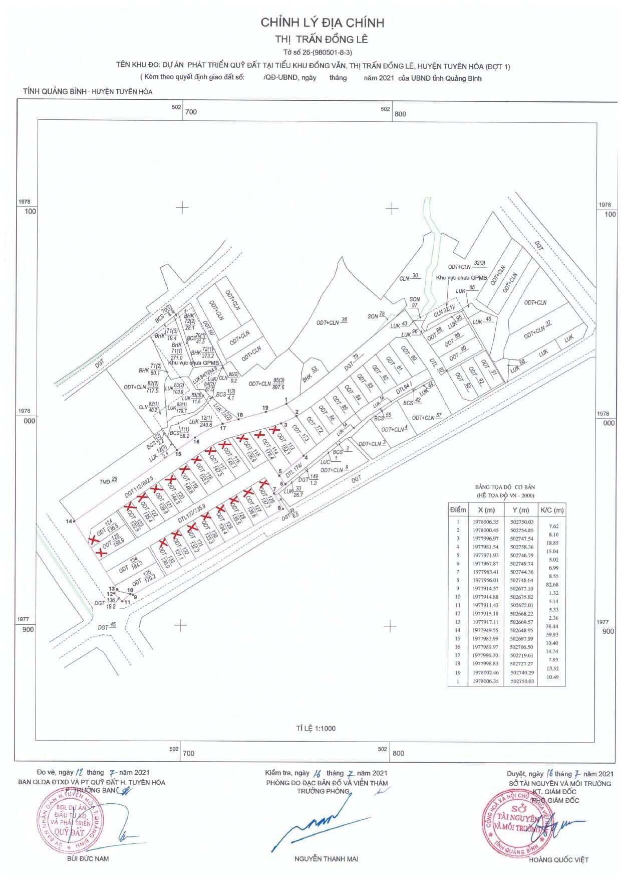
1. Vị trí dự án:
Phạm vi ranh giới của khu vực dự án được xác định như sau:
- Phía Tây Bắc: giáp khu dân cư và Ngân hàng chính sách xã hội huyện.
- Phía Tây Nam: giáp đường nội thị (đường Lê Lợi).
- Phía Đông Bắc: giáp khu dân cư.
- Phía Đông Nam: giáp đường nội thị (đường Huỳnh Thúc Kháng) và khu dân cư.
2. Quy mô đầu tư xây dựng: Tổng diện tích quy hoạch là 1,1 ha, tạo ra 0,62 ha đất ở chia thành 40 lô đất ở.
Các hạng mục dự án bao gồm: San nền, hệ thống đường giao thông, thoát nước mưa, thoát nước thải sinh hoạt, cấp nước và cấp điện.
3. Thông tin đấu giá quyền sử dụng đất dự án:
- Đợt 1, từ ngày 29/9/2022 đến ngày 18/10/2022, tổ chức đưa ra đấu giá quyền sử dụng 28 thửa đất (diện tích 3.858,9 m2), có diện tích từ từ 120,2 m2/thửa đến 176,4 m2/thửa; Giá khởi điểm từ 830.000.000 đồng/thửa đến 3.400.000.000 đồng/thửa. Thông tin các lô đất đấu giá xem Thông báo đấu giá, Phụ lục 1.
4. Kết quả đấu giá:
Ngày 21/10/2022, công bố kết quả đấu giá được 23/28 lô đưa ra đấu giá với số tiền thu được là 34.726 triệu đồng (có diện tích là 29.920 m2), chênh lệch tăng so với giá khởi điểm là 4.356 triệu đồng.