


1. Vị trí dự án:
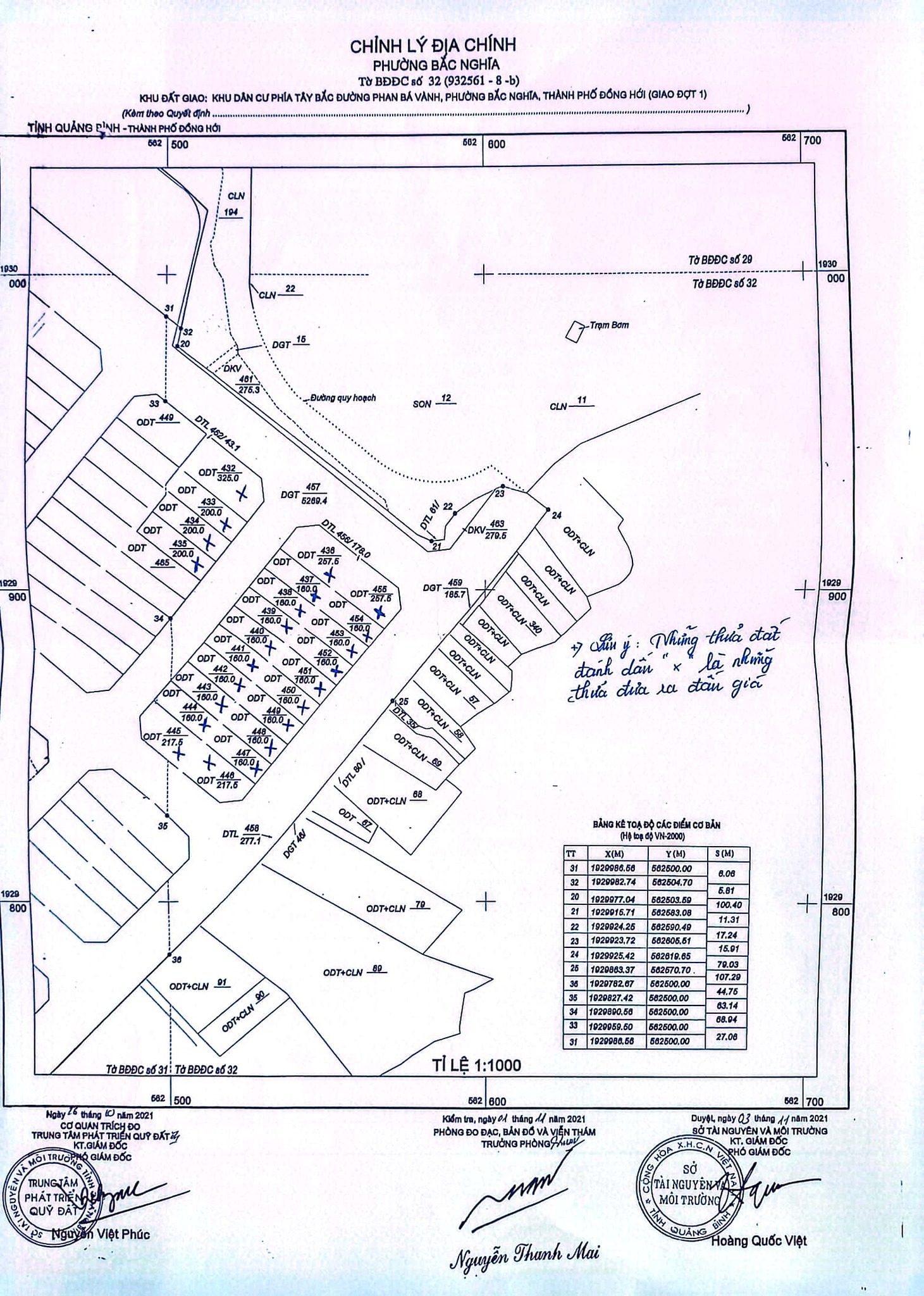
Dự án tạo quỹ đất khu dân cư phía Tây Bắc đường Phan Bá Vành, phường Bắc Nghĩa, thành phố Đồng Hới có ranh giới xác định như sau:
- Phía Nam giáp đường Phan Bá Vành.
- Phía Bắc giáp sông Mỹ Cương.
- Phía Đông giáp sông Mỹ Cương.
- Phía Tây giáp khu dân cư hiện hữu và đường Đặng Trần Côn.
2. Quy mô đầu tư xây dựng:
Tổng diện tích đầu tư lập dự án là 3,9 ha; Gồm: đất ở phân lô là 1,4 ha, đất thương mại dịch vụ 0,196 ha, đất hạ tầng kỹ thuật và đất khác là 2,304 ha.
3. Thông tin đấu giá quyền sử dụng đất dự án:
Đợt 1: Đưa ra đấu giá quyền sử dụng 70 thửa đất (diện tích 13.939,5 m2), có diện tích từ 160m2/thửa đến 325m2/thửa; Giá khởi điểm từ 1.120 triệu đồng/thửa đến 2.746 triệu đồng/thửa.
4. Thời gian, địa điểm thực hiện các thủ tục đấu giá tài sản:
- Bán và tiếp nhận hồ sơ: Từ ngày 23/8/2023 đến 16h30 ngày 13/9/2023 (trong giờ hành chính các ngày làm việc)
- Nộp tiền đặt trước: Từ ngày 11/9/2023 đến 16h30 ngày 13/9/2023
- Thời gian xem tài sản: Từ ngày 28/8/2023 đến ngày 29/8/2023 (trong giờ hành chính các ngày làm việc). Người có nhu cầu liên hệ trước ngày 28/8/2023 để Công ty sắp sếp thời gian cụ thể.
- Tổ chức công bố giá: Vào lúc 08h00 ngày 16/9/2023 tại Hội trường Trung tâm dịch vụ việc làm tỉnh Quảng Bình. Địa chỉ số 42, đường Trần Quang Khải, TP Đồng Hới, tỉnh Quảng Bình.
Xem chi tiết các lô đất: Phụ lục 1, Phụ lục 2, Phụ lục 3