

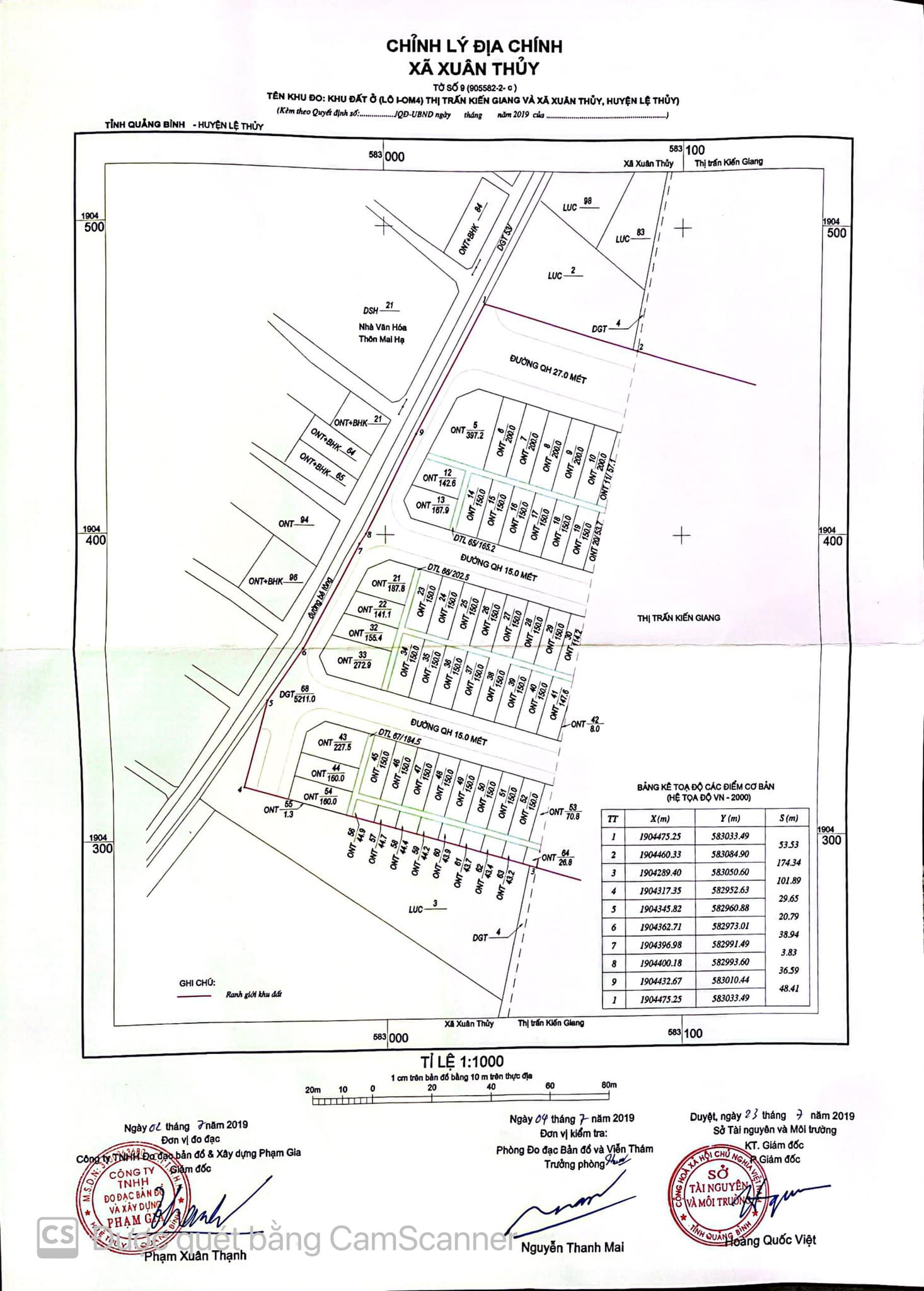
1. Vị trí dự án:
Dự án có vị trí nằm ngay trên trục đường Tỉnh lộ 565 của Quốc lộ 9C đi qua, có ranh giới được xác định như sau:
Phía Tây giáp khu dân cư thôn Mai Hạ;
Phía Bắc giáp đất trồng lúa;
Phía Tây giáp đất trồng lúa;
Phía Đông giáp đất trồng lúa.
2. Mục tiêu dự án
Đầu tư xây dựng dự án để hoàn thiện hệ thống hạ tầng kỹ thuật khu dân cư theo đúng quy hoạch đã được duyệt và từng bước hoàn chỉnh, phù hợp quy hoạch chung của thị trấn Kiến Giang, phát triển quỹ đất sạch đáp ứng nhu cầu đất ở cho người dân và đảm bảo nguồn thu cho ngân sách từ đấu giá quyền sử dụng đất, tạo tiền đề cho việc phát triển kinh tế bền vững lâu dài.
3. Quy mô đầu tư xây dựng:
Tổng diện tích quy hoạch của dự án là 4,67 ha bao gồm: 2,2 ha đất ở chia thành 127 lô nhà ở liền kề; còn lại là đường giao thông và đất hạ tầng kỹ thuật khác.
Dự án đầu tư các hạng mục: San nền, giao thông, cấp điện, cấp nước, thoát nước, cắm mốc phân lô.
4. Thông tin đấu giá quyền sử dụng đất dự án:
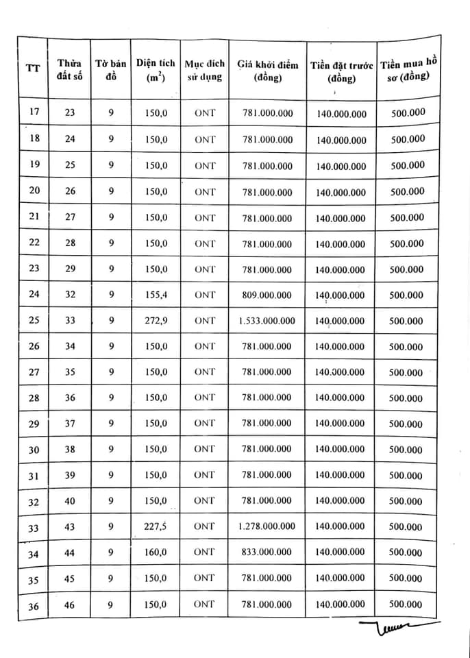
- Đợt 1 đưa ra đấu giá 44 lô đất (tổng diện tích 7.467,7m2) có diện tích từ 150m2 đến 397,2 m2/lô; giá khởi điểm từ từ 735.000.000 đồng/lô đến 2.631.000.000 đồng/lô. Xem thông tin các lô đất phụ lục 1, phụ lục 2, phụ lục 3
- Kết quả đấu giá đợt 1: thành công 36/44 lô; tổng thu sau đấu là 43.526.300.000 đồng, chênh lệch so với giá khởi điểm 8.634.800.000 đồng.
- Đợt 2 đưa ra đấu giá 39 lô đất (tổng diện tích 6.832 m2) có diện tích từ 150m2 đến 287,5 m2/lô; giá khởi điểm từ từ 980.000.000 đồng/lô đến 2.587.500.000 đồng/lô. Xem thông tin các lô đất phụ lục 1, phụ lục 2
5. Thời gian, địa điểm thực hiện các thủ tục đấu giá tài sản:
- Bán hồ sơ và tiếp nhận hồ sơ tham gia đấu giá: Từ ngày 30/11/2022 đến 16 giờ 30 phút ngày 16/12/2022 tại Ban quản lý dự án Đầu tư xây dựng và phát triển quỹ đất huyện Lệ Thủy;
- Nộp tiền đặt trước: Từ ngày 14/12/2022 đến 16 giờ 30 phút 16/12/2022.
(Các thủ tục trên được thực hiện trong giờ hành chính các ngày làm việc)
- Tổ chức buổi công bố giá: Vào lúc 08 giờ 30 phút, ngày 19/12/2022 tại Hội trường UBND thị trấn Kiến Giang, huyện Lệ Thủy, tỉnh Quảng Bình.
Mọi chi tiết xin liên hệ: Công ty Đấu giá hợp danh Trường Hà SĐT: 0232.3896 333